
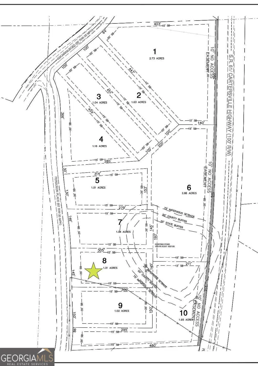
Pick your floor plan and build on this beautiful 1.01+/- acre lot with shared POND conveniently located in the sought after North Paulding school district with privacy and upgrades galore. Pre-sale opportunity! No HOA. Standard features will include custom farmhouse-style trim package though out, shaker-style cabinetry though out, tiled backsplash and stainless appliances, quartz countertops in kitchen, engineered hardwood floors, tile, farmhouse doors/windows, OUTDOOR KITCHEN with beverage fridge, sink and granite countertop. It doesn't stop there...entertain and unwind under your own custom 14x14 cedar PAVILION. Other exterior features will include hardie plank siding and a unique landscape package including sod on all 4 sides. The modern, transitional design of this home will offer superior construction and custom features. Located close to dining, golf, winery and sought after schools. *This Lot is vacant and HOME IS TO BE CONSTRUCTED ADDITIONAL BASEMENT AND SLAB LOTS STILL AVAILABLE** Contact for information packages.
The data relating to real estate for sale on this web site comes in part from the Broker Reciprocity Program of GAMLS. All real estate listings are marked with the GAMLS Broker Reciprocity thumbnail logo and detailed information about them includes the name of the listing brokers. The broker providing these data believes them to be correct, but advises interested parties to confirm them before relying on them in a purchase decision. Copyright 2023 GAMLS. All rights reserved.
Last Updated: . Source: GAMLS
Provided By
Listing Agent: Nataley Childers (#CHILDERSNATA)
Listing Office: Atlanta Communities (#ATCM04)
